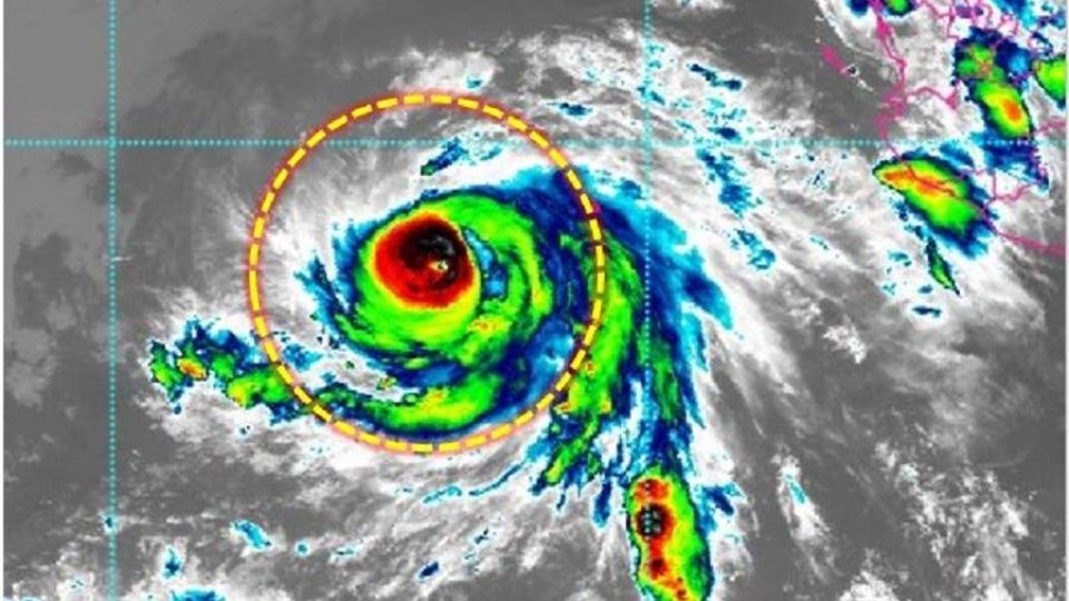
En apenas 6 horas, el Huracán Juliette pasó de ser categoría 1 a 3, con vientos superiores de 220 km/h, ocasionará fuertes lluvias en varios estados, incluyendo Sinaloa
México. - El Huracán Juliette se intensificó a categoría 3 en la escala SaffirSimpson y se localiza a 710 km al suroeste de Cabo San Lucas, Baja California Sur.
Según el nuevo pronóstico de trayectoria, este evolucionará y alcanzará la categoría 4, a 730 km de Cabo San Lucas y con vientos de hasta 260 km/h.
El fenómeno meteorológico aún no representa riesgo para las costas de México, pero si ocasionará lluvias intensas en varios estados, incluyendo a Sinaloa, de acuerdo al último reporte del Servicio Meteorológico Nacional.
Las lluvias muy fuertes se verían en Sinaloa, Durango y Zacatecas, las fuertes en Sonora, Chihuahua, Nayarit, Jalisco y Guerrero, acompañadas de descargas eléctricas y posibles granizadas.
Tags:
Locales
